日野市石田1丁目 新築一戸建て
- 2路線2駅使用可能/LDK20帖/カースペース2台あり(車種による)
- 価 格
-
5999万円
- 所在地
- 東京都 日野市石田1丁目
- 交 通
- 多摩モノレール「万願寺」駅 徒歩7分
京王電鉄京王線「高幡不動」駅 徒歩15分
- 建物面積
- 108.47m²
- 土地面積
- 121.07m²
- 間取り
- 4LDK
- 築年月
- 2025年11月
おすすめポイント
物件詳細
| 価 格 | 5999万円(税込) | ||
|---|---|---|---|
| 所在地 | 東京都 日野市石田1丁目 | ||
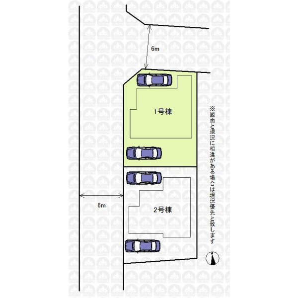
| 交 通 | (1)多摩モノレール「万願寺」駅 徒歩7分 (2)京王電鉄京王線「高幡不動」駅 徒歩15分 |
||
| 建物面積 | 108.47m²(実測) | 間取り | 4LDK |
| 築年月 | 2025年11月 | 構 造 | 木造/地上2階建て |
| 設 備 | 東京電力/公営水道/都市ガス/下水/対面キッチン/追い焚き/シャンプードレッサー/浴室換気乾燥機/ウォシュレット/システムキッチン/食器洗浄乾燥器/浄水器/床下収納/フローリング/クローゼット/バリアフリー/フラット35適合証明書 | ||
| リフォーム | - | ||
| 土地面積 | 121.07m²(公簿) | 土地権利 | 所有権 |
| セットバック | 無 | 私道負担面積 | 無 |
| 都市計画 | 市街化区域 | 用途地域 | 第一種低層住居専用地域 |
| 建ぺい率 | 50% | 容積率 | 100% |
| 地目 | 宅地 | 現況 | 完成済 |
| 国土法届出 | 不要 | 駐車場 | 有 2台 |
| 接道状況 | 角地 北側6.00m公道 西側6.00m公道 |
||
| 周辺環境 | 潤徳小学校(約1,200m) 三沢中学校(約1,700m) いなげや(約590m) |
||
| 建築確認番号 | 第25UDI1W建04206号 | ||
| 備 考 | フラット35利用時は別途適合証明書取得費用が掛かります |
||
| 引渡時期 | 相談 | 取引態様 | 仲介 |
| 最終情報更新日 | 2025年12月12日 | 更新予定日 | 2025年12月26日 |





