小平市小川東町1丁目 土地
- 2駅2路線利用可能/陽光溢れる明るい区画/お好きな間取りで建築可能です
- 価 格
-
4480万円
- 所在地
- 東京都 小平市小川東町1丁目
- 交 通
- 武蔵野線「新小平」駅 徒歩10分
西武鉄道国分寺線「小川」駅 徒歩10分
- 建築条件
- 有
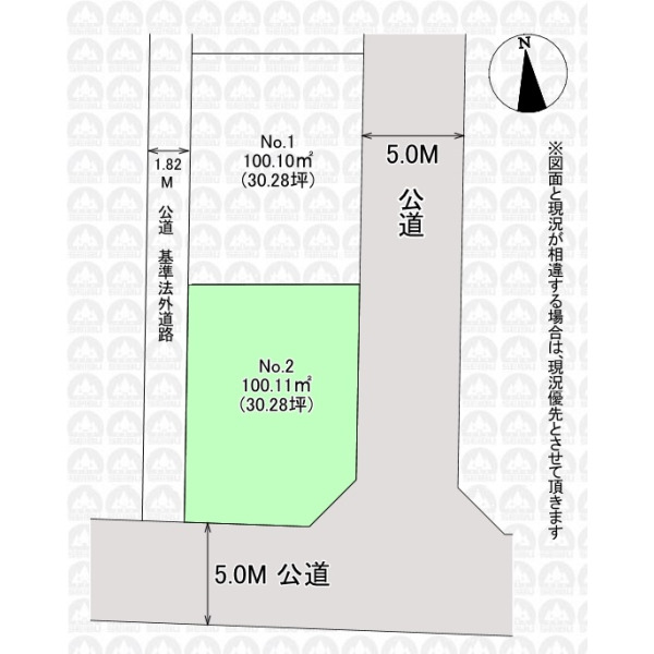
- 土地面積
- 100.11m²
おすすめポイント
物件詳細
| 価 格 | 4480万円(税無) /坪単価147.94万円 | ||
|---|---|---|---|
| 所在地 | 東京都 小平市小川東町1丁目 | ||
| 交 通 | (1)武蔵野線「新小平」駅 徒歩10分 (2)西武鉄道国分寺線「小川」駅 徒歩10分 |
||
| 設 備 | 東京電力/公営水道/都市ガス/下水 | ||
| 土地面積 | 100.11m²(公簿) /30.3坪 | 土地権利 | 所有権 |
| セットバック | 無 | 私道負担面積 | 無 |
| 都市計画 | 市街化区域 | 用途地域 | 第一種低層住居専用地域 |
| 建ぺい率 | 40% | 容積率 | 80% |
| 地目 | 畑 | 現況 | 更地 |
| 国土法届出 | 不要 | 地勢 | 平坦 |
| 接道状況 | 角地 東側5.00m公道 南側5.00m公道 |
||
| 周辺環境 | 小平第六小学校(約720m) 小平第二中学校(約640m) ドン・キホーテ(約210m) マミーマート(約300m) ツルハドラッグ(約900m) 丸山幼稚園(約1,100m) |
||
| 建築条件 | 有 | ||
| 備 考 | 第1種高度地区/参考プラン(建物価格1600万円/土地建物合計価格6080円)/第一種低層住居専用地域(建ぺい率40%・容積率80%)/その他法令:農地法、宅地造成及び特定盛土規制法、航空法、景観法/引渡時迄に地目を宅地へ変更します |
||
| 引渡時期 | 相談 | 取引態様 | 仲介 |
| 最終情報更新日 | 2026年1月8日 | 更新予定日 | 2026年1月22日 |







