東村山市秋津町2丁目 新築一戸建て
- 「新秋津」駅徒歩17分/1階に水回りを集約した4LDKプラン/ワイドバルコニー/太陽光パネル付き
- 価 格
-
4080万円
- 所在地
- 東京都 東村山市秋津町2丁目
- 交 通
- 武蔵野線「新秋津」駅 徒歩17分
西武池袋・豊島線「秋津」駅 徒歩20分
- 建物面積
- 97.19m²
- 土地面積
- 115.06m²
- 間取り
- 4LDK
- 築年月
- 2026年2月
おすすめポイント
物件詳細
| 価 格 | 4080万円(税込) | ||
|---|---|---|---|
| 所在地 | 東京都 東村山市秋津町2丁目 | ||
| 交 通 | (1)武蔵野線「新秋津」駅 徒歩17分 (2)西武池袋・豊島線「秋津」駅 徒歩20分 |
||
| 建物面積 | 97.19m²(実測) | 間取り | 4LDK |
| 築年月 | 2026年2月 | 構 造 | 木造/地上2階建て |
| 設 備 | 東京電力/公営水道/都市ガス/下水/対面キッチン/追い焚き/シャンプードレッサー/浴室換気乾燥機/ウォシュレット/システムキッチン/浄水器/床下収納/クローゼット/住宅性能評価付き/制震構造/耐震構造/太陽光発電システム/設計住宅性能評価付/建設住宅性能評価付/フラット35適合証明書 | ||
| リフォーム | - | ||
| 土地面積 | 115.06m²(実測) | 土地権利 | 所有権 |
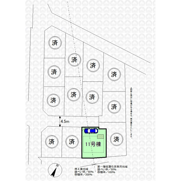
| セットバック | 無 | 私道負担面積 | 有 13.57m² |
| 都市計画 | 市街化区域 | 用途地域 | 第一種低層住居専用地域 |
| 建ぺい率 | 50% | 容積率 | 100% |
| 地目 | 畑 | 現況 | 完成済 |
| 国土法届出 | 不要 | 駐車場 | 有 1台 |
| 接道状況 | 一方 北西側4.50m私道 | ||
| 周辺環境 | 秋津東小学校(約800m) 第六中学校(約180m) コープ(約700m) サンドラッグ(約1,100m) 島忠ホームズ(約350m) まりあ幼稚園(約500m) わくわく保育園(約650m) ビッグ・エー(約300m) マツモトキヨシ(約850m) 今井クリニック(約260m) |
||
| 建築確認番号 | - | ||
| 備 考 | 太陽光発電利用にはご契約条件があります/土地面積に共用部分約0.6m2あり/本地南西側の一部が準工業地域(建ぺい率60%・容積率200%)です。/引渡時迄に地目を宅地へ変更します |
||
| 引渡時期 | 相談 | 取引態様 | 仲介 |
| 最終情報更新日 | 2026年4月10日 | 更新予定日 | 2026年4月24日 |





