新座市石神2丁目 新築一戸建て
- 住環境良好で閑静な住宅地/南側道路面に付き陽当り良好/LDKは19.5帖の大空間/主寝室7帖に大型WIC付
- 価 格
-
4099万円
- 所在地
- 埼玉県 新座市石神2丁目
- 交 通
- 西武池袋・豊島線「ひばりヶ丘」駅 バス6分 停歩9分
- 建物面積
- 96.05m²
- 土地面積
- 101.11m²
- 間取り
- 3LDK
- 築年月
- 2026年2月
おすすめポイント
物件詳細
| 価 格 | 4099万円(税込) | ||
|---|---|---|---|
| 所在地 | 埼玉県 新座市石神2丁目 | ||
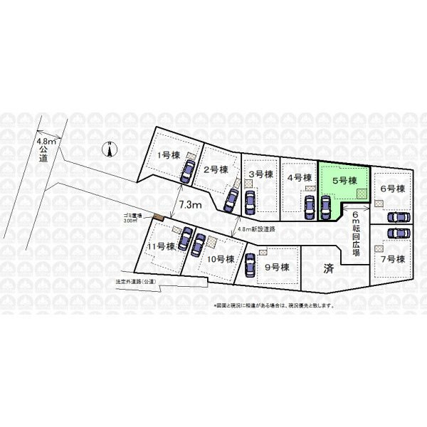
| 交 通 | (1)西武池袋・豊島線「ひばりヶ丘」駅 バス6分「貝沼」停歩9分 | ||
| 建物面積 | 96.05m²(実測) | 間取り | 3LDK |
| 築年月 | 2026年2月 | 構 造 | 木造/地上2階建て |
| 設 備 | 東京電力/公営水道/都市ガス/下水/対面キッチン/追い焚き/シャンプードレッサー/浴室換気乾燥機/ウォシュレット/システムキッチン/浄水器/床下収納/ウォークインクローゼット/フローリング/クローゼット/住宅性能評価付き/耐震構造/設計住宅性能評価付/建設住宅性能評価付/フラット35適合証明書/長期優良住宅 | ||
| リフォーム | - | ||
| 土地面積 | 101.11m²(実測) | 土地権利 | 所有権 |
| セットバック | 無 | 私道負担面積 | 有 29.27m² |
| 都市計画 | 市街化区域 | 用途地域 | 第一種低層住居専用地域 |
| 建ぺい率 | 60% | 容積率 | 100% |
| 地目 | 宅地 | 現況 | 未完成 |
| 国土法届出 | 不要 | 駐車場 | 有 1台 |
| 接道状況 | 一方 南側4.80m私道 | ||
| 周辺環境 | 石神小学校(約890m) 第六中学校(約1,200m) 横田保育園(約850m) 明彩幼稚園(約800m) いなげや(約750m) オーケーストア(約800m) ウェルパーク(約950m) セブンイレブン(約450m) 石神二丁目第二児童遊園(約260m) 新座病院(約750m) |
||
| 建築確認番号 | 第HPA-25-12705-1号 | ||
| 備 考 | フラット35をご利用の場合は別途適合証明書取得費用がかかります/ゴミ置場持分0.27m2有/片山・西堀地区地区計画/不整形地 |
||
| 引渡時期 | 相談 | 取引態様 | 仲介 |
| 最終情報更新日 | 2025年11月29日 | 更新予定日 | 2025年12月13日 |






