新座市石神4丁目 新築一戸建て
- 4LDK/カースペース2台可(車種制限有)/土地正味約31坪/南公道面/陽当良好/閑静な住宅地
- 価 格
-
4290万円
-
- 所在地
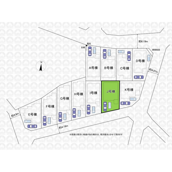
- 埼玉県 新座市石神4丁目
- 交 通
- 西武池袋・豊島線「東久留米」駅 徒歩22分
西武池袋・豊島線「ひばりヶ丘」駅 バス5分 停歩11分
- 建物面積
- 93.57m²
- 土地面積
- 103.01m²
- 間取り
- 4LDK
- 築年月
- 2026年1月
おすすめポイント
物件詳細
| 価 格 | 4290万円(税込) | ||
|---|---|---|---|
| 所在地 | 埼玉県 新座市石神4丁目 | ||
| 交 通 | (1)西武池袋・豊島線「東久留米」駅 徒歩22分 (2)西武池袋・豊島線「ひばりヶ丘」駅 バス5分「火の見下」停歩11分 |
||
| 建物面積 | 93.57m²(実測) | 間取り | 4LDK |
| 築年月 | 2026年1月 | 構 造 | 木造/地上2階建て |
| 設 備 | 東京電力/公営水道/都市ガス/下水/対面キッチン/追い焚き/シャンプードレッサー/浴室換気乾燥機/ウォシュレット/システムキッチン/浄水器/床下収納/フローリング/クローゼット/住宅性能評価付き/耐震構造/設計住宅性能評価付/建設住宅性能評価付/フラット35適合証明書/長期優良住宅 | ||
| リフォーム | - | ||
| 土地面積 | 103.01m²(実測) | 土地権利 | 所有権 |
| セットバック | 無 | 私道負担面積 | 無 |
| 都市計画 | 市街化区域 | 用途地域 | 第一種低層住居専用地域 |
| 建ぺい率 | 60% | 容積率 | 100% |
| 地目 | 宅地 | 現況 | 未完成 |
| 国土法届出 | 不要 | 駐車場 | 有 2台 |
| 接道状況 | 一方 南側4.19m公道 | ||
| 周辺環境 | 石神小学校(約820m) 第六中学校(約1,020m) アクロスプラザ東久留米(約830m) ウェルパーク新座石神店(約200m) オーケーストア新座石神店(約280m) スーパービバホーム東久留米店(約650m) スパジアムジャポン(約930m) まこと保育園(約330m) 新座病院(約850m) 西友(約1,080m) |
||
| 建築確認番号 | 第HPA-25-11225-1号 | ||
| 備 考 | ゴミ置場持分0.32m2有/フラット35利用の場合は適合証明書発行手数料がかかります |
||
| 引渡時期 | 相談 | 取引態様 | 仲介 |
| 最終情報更新日 | 2025年11月30日 | 更新予定日 | 2025年12月14日 |






