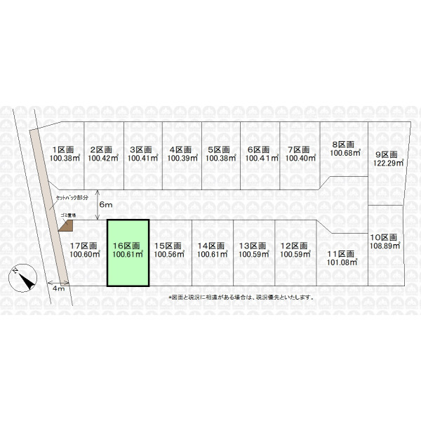
新座市畑中1丁目 土地
- 住環境良好な住宅地の全17区画大型開発分譲地/敷地面積30.43坪の整形地
- 価 格
-
2230万円
- 所在地
- 埼玉県 新座市畑中1丁目
- 交 通
- 武蔵野線「新座」駅 徒歩28分
- 建築条件
- 有
- 土地面積
- 100.61m²
おすすめポイント
物件詳細
| 価 格 | 2230万円(税無) /坪単価73.27万円 | ||
|---|---|---|---|
| 所在地 | 埼玉県 新座市畑中1丁目 | ||
| 交 通 | (1)武蔵野線「新座」駅 徒歩28分 | ||
| 設 備 | 東京電力/公営水道/都市ガス/下水 | ||
| 土地面積 | 100.61m²(実測) /30.4坪 | 土地権利 | 所有権 |
| セットバック | 無 | 私道負担面積 | 有 24.2m² |
| 都市計画 | 市街化区域 | 用途地域 | 第一種住居地域 |
| 建ぺい率 | 60% | 容積率 | 200% |
| 地目 | 山林 | 現況 | 更地 |
| 国土法届出 | 不要 | 地勢 | 平坦 |
| 接道状況 | 一方 北東側6.00m私道 | ||
| 周辺環境 | 陣屋小学校(約960m) 新座中学校(約1,450m) コスモス(約1,200m) セブンイレブン(約1,360m) オーケーストア(約210m) どろんこ保育園(約780m) なみきの幼稚園(約730m) 野火止クリニック(約820m) 西友(約1,420m) 新座市役所(約790m) |
||
| 建築条件 | 有 | ||
| 備 考 | 引渡時までに地目を宅地に変更します/ごみ置場持分0.29m2有/景観法/法22条区域/宅地造成及び特定盛土等規制法 |
||
| 引渡時期 | 相談 | 取引態様 | 仲介 |
| 最終情報更新日 | 2026年2月19日 | 更新予定日 | 2026年3月5日 |






