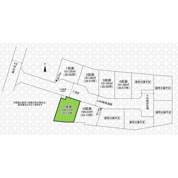
新座市石神2丁目 土地
- 土地正味約32坪/7.3m道路/陽当良好/全11区画開発現場/閑静な住宅地/都市ガス・本下水
- 価 格
-
2099万円
- 所在地
- 埼玉県 新座市石神2丁目
- 交 通
- 西武池袋・豊島線「ひばりヶ丘」駅 バス6分 停歩9分
- 建築条件
- 有
- 土地面積
- 106.23m²
おすすめポイント
物件詳細
| 価 格 | 2099万円(税無) /坪単価65.32万円 | ||
|---|---|---|---|
| 所在地 | 埼玉県 新座市石神2丁目 | ||
| 交 通 | (1)西武池袋・豊島線「ひばりヶ丘」駅 バス6分「貝沼」停歩9分 | ||
| 設 備 | 東京電力/公営水道/都市ガス/下水 | ||
| 土地面積 | 106.23m²(実測) /32.1坪 | 土地権利 | 所有権 |
| セットバック | 無 | 私道負担面積 | 有 29.27m² |
| 都市計画 | 市街化区域 | 用途地域 | 第一種低層住居専用地域 |
| 建ぺい率 | 60% | 容積率 | 100% |
| 地目 | 畑 | 現況 | 更地 |
| 国土法届出 | 不要 | 地勢 | 平坦 |
| 接道状況 | 一方 北東側7.30m私道 | ||
| 周辺環境 | 石神小学校(約840m) 第六中学校(約960m) まこと保育園(約550m) 堀ノ内病院(約380m) オーケー (約720m) ウェルパーク(約520m) 明彩幼稚園(約900m) 業務スーパー(約920m) スーパービバホーム(約1,240m) |
||
| 建築条件 | 有 | ||
| 備 考 | 参考プラン(建物1,600万円/土地建物合計価格3,699万円)/地区計画:片山・西堀地区地区計画/外壁後退:建築物の外壁又はこれに代わる柱の面から有効距離50cm/文化財保護法(埋蔵文化財)/農地法/重要土地等調査法(特別注視区域)/景観法/ゴミ置場持分0.27m2/引渡時迄に地目を宅地へ変更します |
||
| 引渡時期 | 相談 | 取引態様 | 仲介 |
| 最終情報更新日 | 2025年11月6日 | 更新予定日 | 2025年11月20日 |






