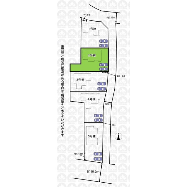
川越市大字下小坂 新築一戸建て
- 全5棟/敷地面積63坪/南側お庭スペースの為陽当たり・風通し良好/広々洗面室あり
- 価 格
-
3150万円
-
- 所在地
- 埼玉県 川越市大字下小坂
- 交 通
- 東武鉄道東上線「若葉」駅 バス13分 停歩1分
東武鉄道東上線「川越」駅 バス19分 停歩1分
- 建物面積
- 101.02m²
- 土地面積
- 208.53m²
- 間取り
- 4LDK
- 築年月
- 2026年3月
おすすめポイント
物件詳細
| 価 格 | 3150万円(税込) | ||
|---|---|---|---|
| 所在地 | 埼玉県 川越市大字下小坂 | ||
| 交 通 | (1)東武鉄道東上線「若葉」駅 バス13分「下小坂」停歩1分 (2)東武鉄道東上線「川越」駅 バス19分「下小坂」停歩1分 |
||
| 建物面積 | 101.02m²(実測) | 間取り | 4LDK |
| 築年月 | 2026年3月 | 構 造 | 木造/地上2階建て |
| 設 備 | 東京電力/公営水道/プロパン(個別)/浄化槽(個別)/対面キッチン/追い焚き/シャンプードレッサー/浴室換気乾燥機/ウォシュレット/システムキッチン/浄水器/床下収納/フローリング/クローゼット/バリアフリー/住宅性能評価付き/設計住宅性能評価付/建設住宅性能評価付/長期優良住宅 | ||
| リフォーム | - | ||
| 土地面積 | 208.53m²(公簿) | 土地権利 | 所有権 |
| セットバック | 無 | 私道負担面積 | 無 |
| 都市計画 | 市街化調整区域 | 用途地域 | 無指定 |
| 建ぺい率 | 60% | 容積率 | 168% |
| 地目 | 宅地 | 現況 | 未完成 |
| 国土法届出 | 不要 | 駐車場 | 有 2台 |
| 接道状況 | 一方 東側4.20m公道 | ||
| 周辺環境 | 名細小学校(約2,000m) 名細中学校(約2,400m) マミーマート(約1,670m) ファミリーマート(約450m) セブンイレブン(約1,365m) 東坂戸団地内郵便局(約1,310m) |
||
| 建築確認番号 | 第25UDI1W建11029号 | ||
| 備 考 | ゴミ置場採納済み/未利用地面積・持分:19.08m2×1/5 |
||
| 引渡時期 | 相談 | 取引態様 | 仲介 |
| 最終情報更新日 | 2026年3月5日 | 更新予定日 | 2026年3月19日 |



