所沢市東狭山ケ丘1丁目 新築一戸建て
- 「狭山ヶ丘」駅徒歩8分/長期優良住宅/LDK20帖以上/前面6m公道
- 価 格
-
4580万円
-
- 所在地
- 埼玉県 所沢市東狭山ケ丘1丁目
- 交 通
- 西武池袋・豊島線「狭山ヶ丘」駅 徒歩8分
西武鉄道新宿線「入曽」駅 徒歩35分
- 建物面積
- 100.20m²
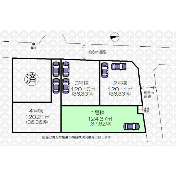
- 土地面積
- 124.37m²
- 間取り
- 3LDK
- 築年月
- 2025年12月
おすすめポイント
物件詳細
| 価 格 | 4580万円(税込) | ||
|---|---|---|---|
| 所在地 | 埼玉県 所沢市東狭山ケ丘1丁目 | ||
| 交 通 | (1)西武池袋・豊島線「狭山ヶ丘」駅 徒歩8分 (2)西武鉄道新宿線「入曽」駅 徒歩35分 |
||
| 建物面積 | 100.20m²(実測) | 間取り | 3LDK |
| 築年月 | 2025年12月 | 構 造 | 木造/地上2階建て |
| 設 備 | 東京電力/公営水道/都市ガス/下水/対面キッチン/追い焚き/シャンプードレッサー/浴室換気乾燥機/ウォシュレット/システムキッチン/浄水器/床下収納/ウォークインクローゼット/フローリング/クローゼット/設計住宅性能評価付/建設住宅性能評価付/フラット35適合証明書/長期優良住宅 | ||
| リフォーム | - | ||
| 土地面積 | 124.37m²(公簿) | 土地権利 | 所有権 |
| セットバック | 無 | 私道負担面積 | 無 |
| 都市計画 | 市街化区域 | 用途地域 | 第二種中高層住居専用地域 |
| 建ぺい率 | 60% | 容積率 | 150% |
| 地目 | 宅地 | 現況 | 未完成 |
| 国土法届出 | 不要 | 駐車場 | 有 1台 |
| 接道状況 | 一方 北側6.00m公道 | ||
| 周辺環境 | 宮前小学校(約1,030m) 狭山ヶ丘中学校(約1,050m) 角栄幼稚園(約650m) さやまが丘保育園(約850m) オザム(約320m) ファミリーマート(約330m) セイムス(約340m) 若狭郵便局(約1,100m) 東狭山ヶ丘中央公園(約300m) わかさクリニック(約1,200m) |
||
| 建築確認番号 | 第R07SHC115444号 | ||
| 備 考 | ゴミ置場持分0.42m2有/狭山ヶ丘駅東口地区地区計画/狭山ケ丘駅東口土地区画整理事業/フラット35をご利用の場合は適合証明書申請料が別途必要となります |
||
| 引渡時期 | 相談 | 取引態様 | 仲介 |
| 最終情報更新日 | 2025年11月23日 | 更新予定日 | 2025年12月7日 |




