所沢市大字山口 土地
- 住環境良好/敷地33.3坪/西所沢駅徒歩9分
- 価 格
-
2980万円
-
- 所在地
- 埼玉県 所沢市大字山口
- 交 通
- 西武池袋・豊島線「西所沢」駅 徒歩9分
西武池袋・豊島線「所沢」駅 徒歩23分
- 建築条件
- 有
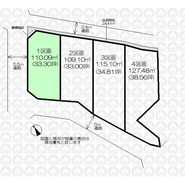
- 土地面積
- 110.09m²
おすすめポイント
物件詳細
| 価 格 | 2980万円(税無) /坪単価89.48万円 | ||
|---|---|---|---|
| 所在地 | 埼玉県 所沢市大字山口 | ||
| 交 通 | (1)西武池袋・豊島線「西所沢」駅 徒歩9分 (2)西武池袋・豊島線「所沢」駅 徒歩23分 |
||
| 設 備 | 東京電力/公営水道/都市ガス/下水 | ||
| 土地面積 | 110.09m²(実測) /33.3坪 | 土地権利 | 所有権 |
| セットバック | 無 | 私道負担面積 | 無 |
| 都市計画 | 市街化区域 | 用途地域 | 第一種低層住居専用地域 |
| 建ぺい率 | 60% | 容積率 | 100% |
| 地目 | 田 | 現況 | 更地 |
| 国土法届出 | 不要 | 地勢 | 平坦 |
| 接道状況 | 三方 北東側3.40m公道 北西側5.50m公道 南西側5.00m公道 |
||
| 周辺環境 | 泉小学校(約1,040m) 山口中学校(約2,000m) 所沢文化幼稚園(約1,200m) 吾妻保育園(約550m) あまいけ(約750m) トモズ(約800m) セブンイレブン(約350m) 瀬戸病院(約1,000m) 西所沢一郵便局(約750m) 春の台第2公園(約50m) |
||
| 建築条件 | 有 | ||
| 備 考 | 清掃施設持分0.57m2あり/22条区域/農地法/宅地造成及び特定盛土等規制法/自然公園法/航空法/景観法/土地建物総額4680万円(建物価格1700万円/建物面積96.05m2/土地価格2980万円) |
||
| 引渡時期 | 相談 | 取引態様 | 仲介 |
| 最終情報更新日 | 2026年3月2日 | 更新予定日 | 2026年3月16日 |





